Billerica Wiki
Structures
Plans
Map
Sources
Go
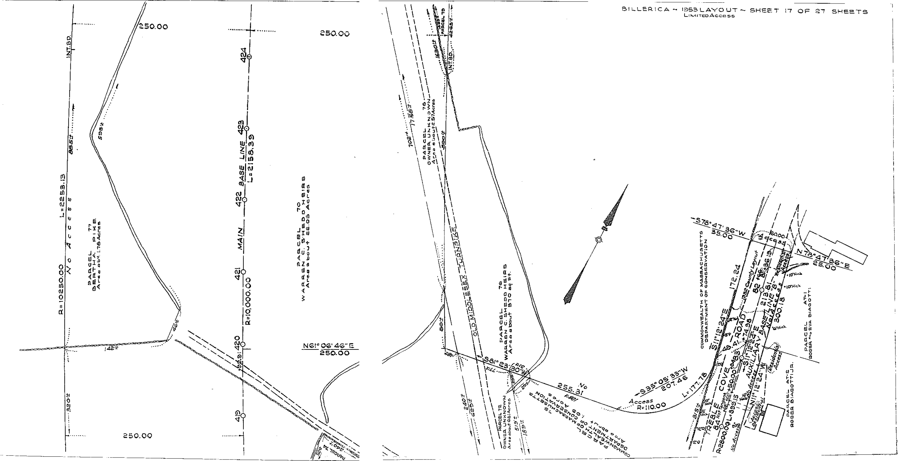
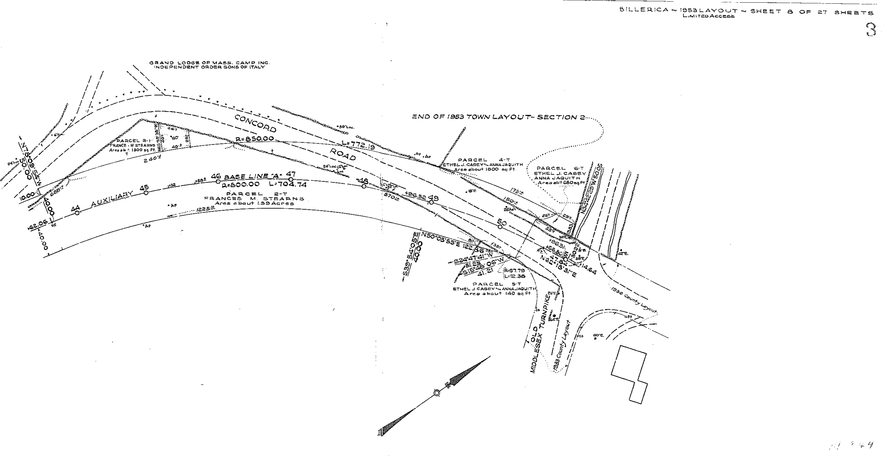
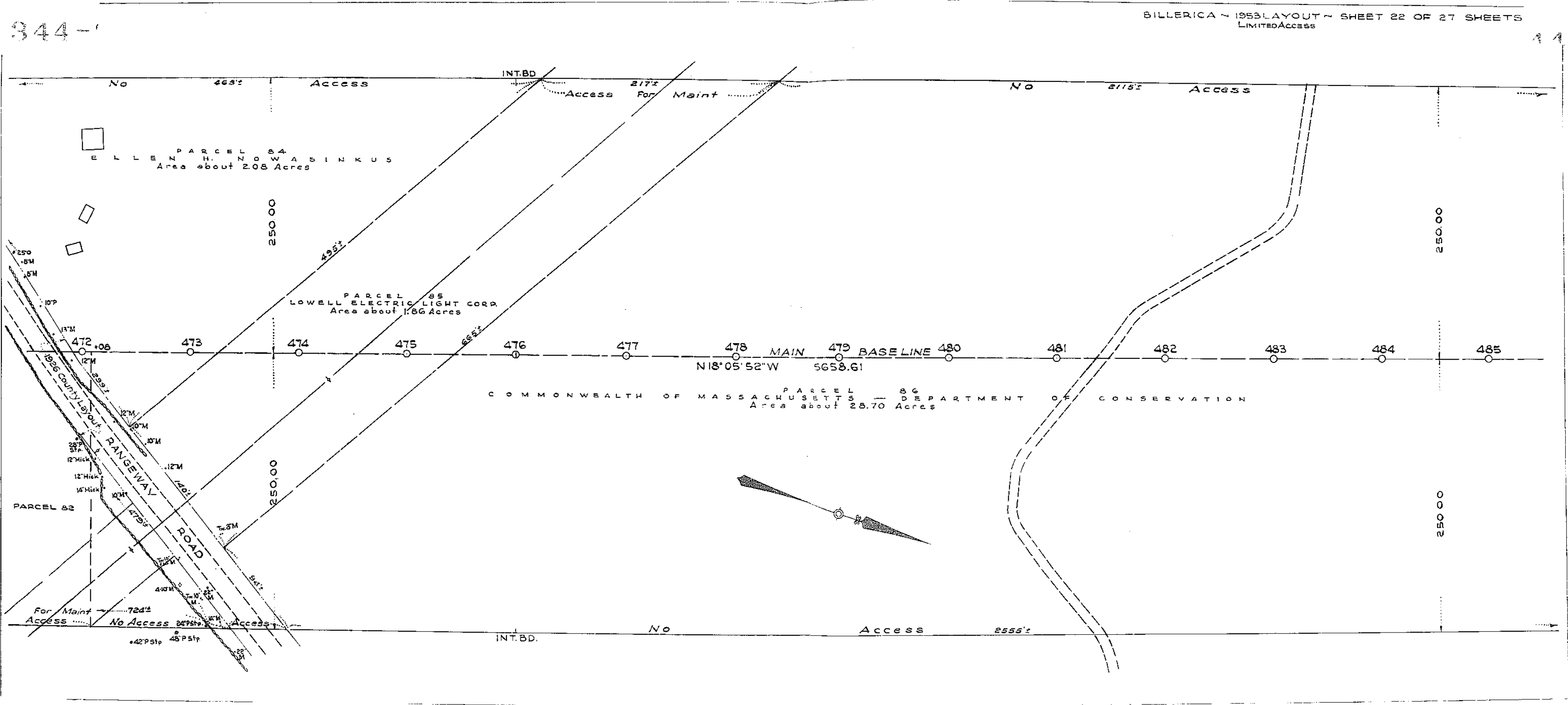
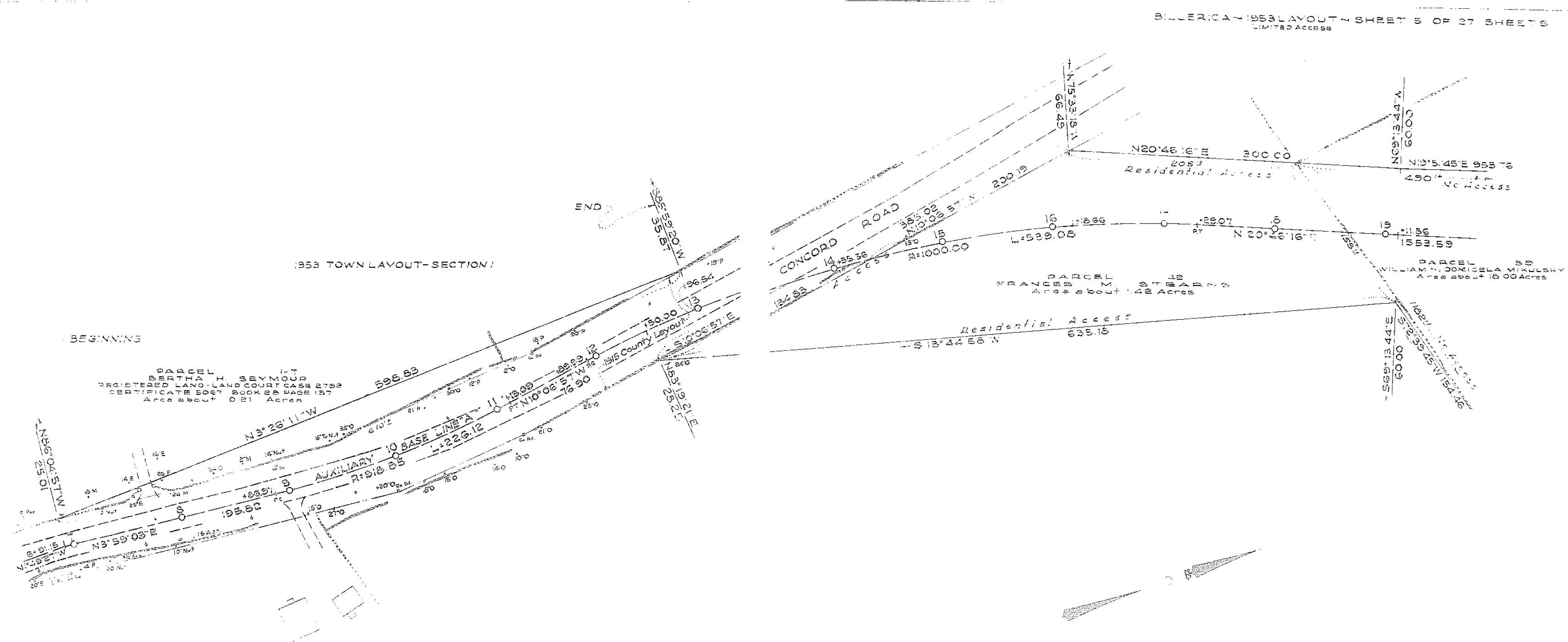
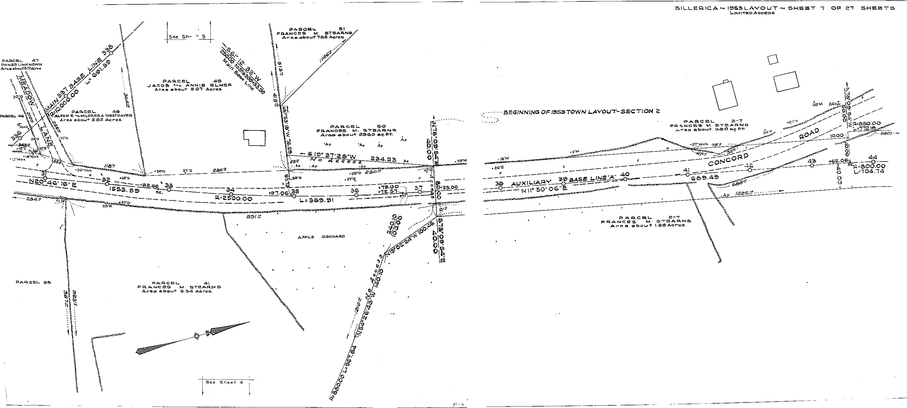
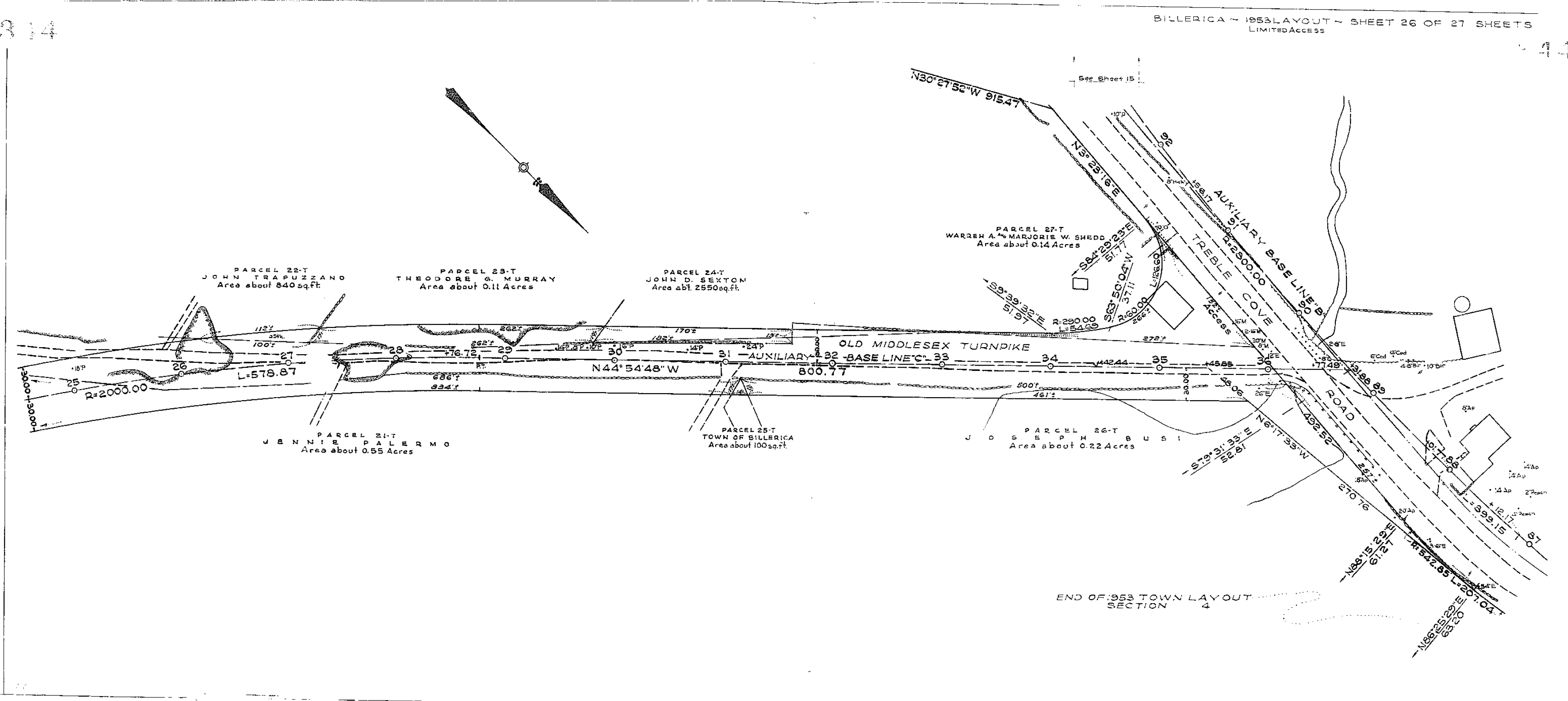
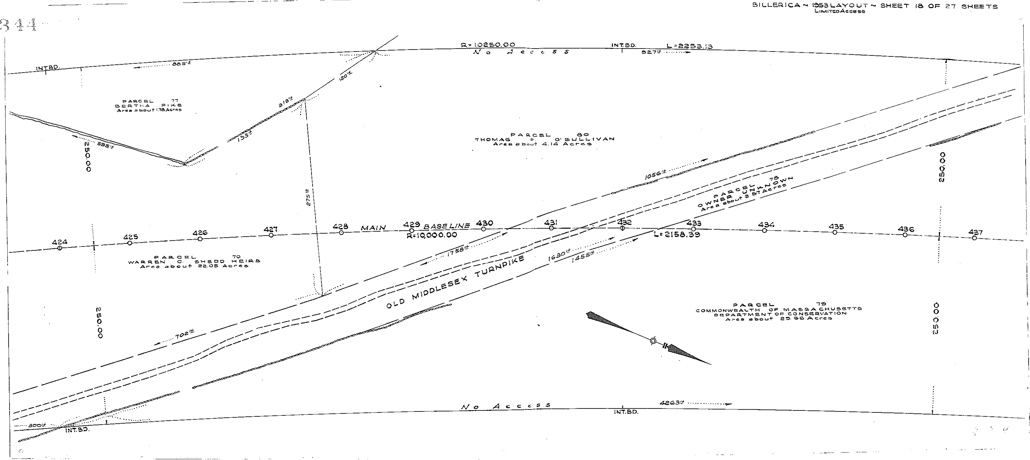
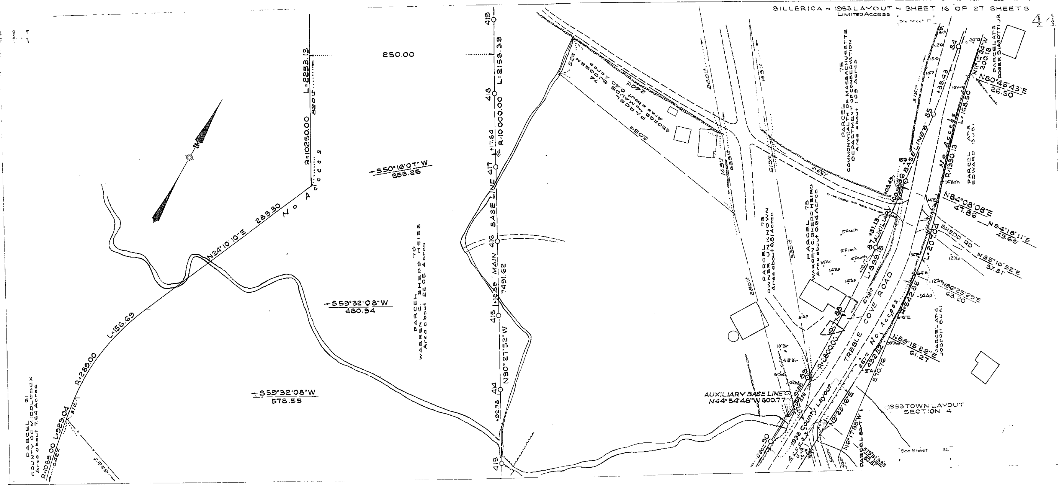
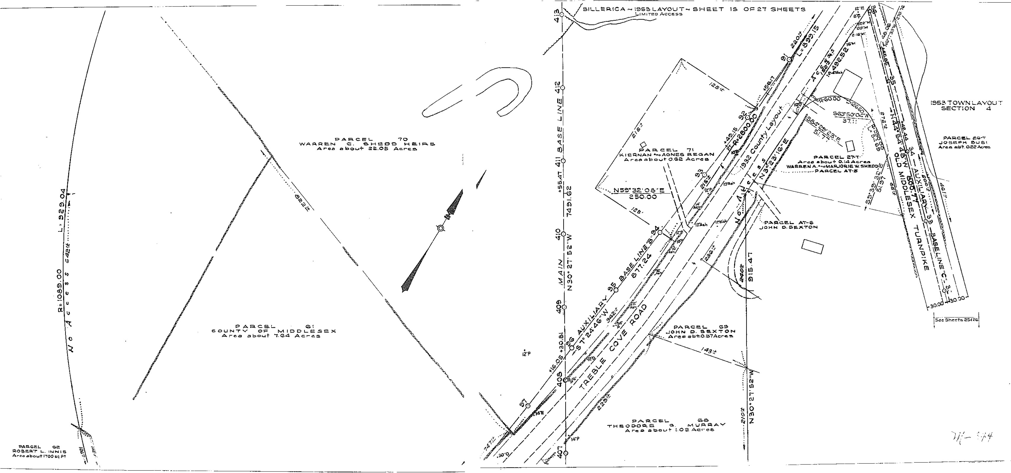
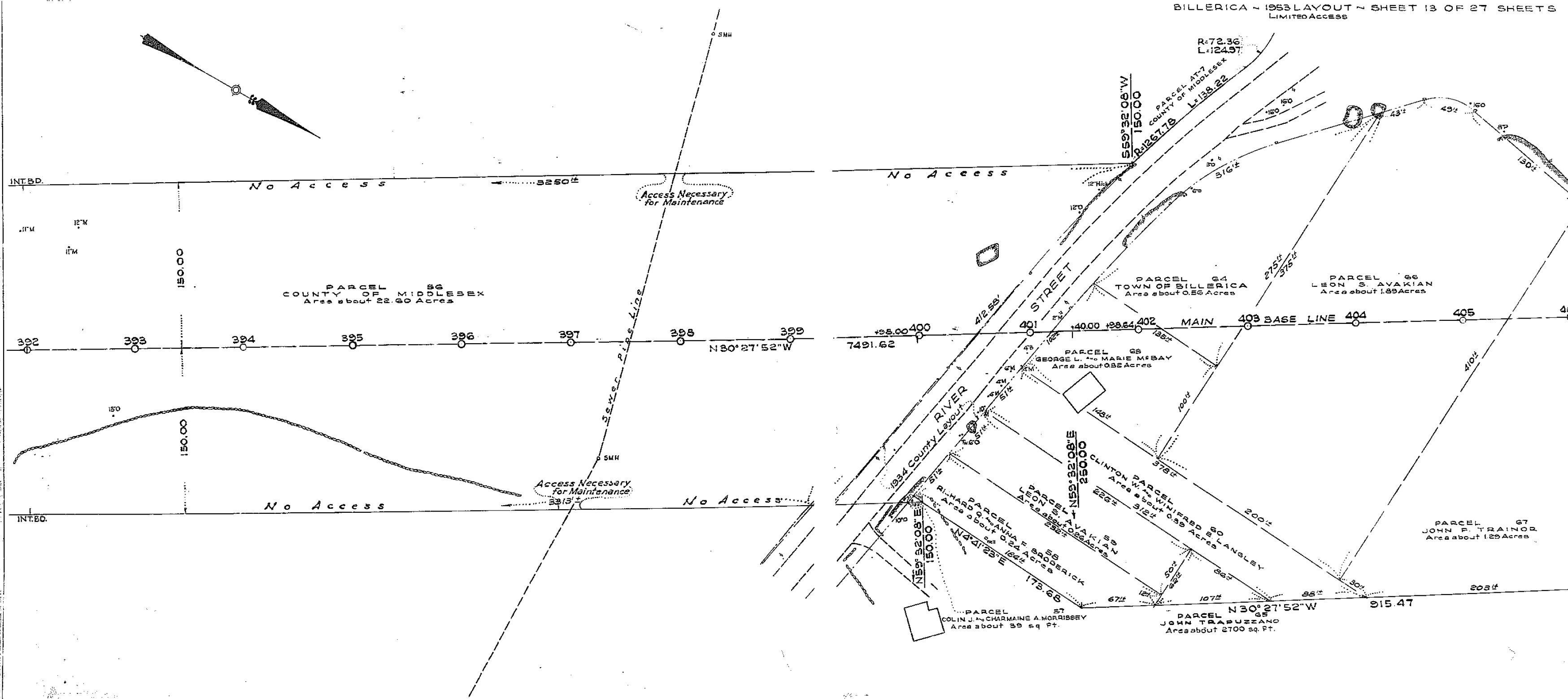
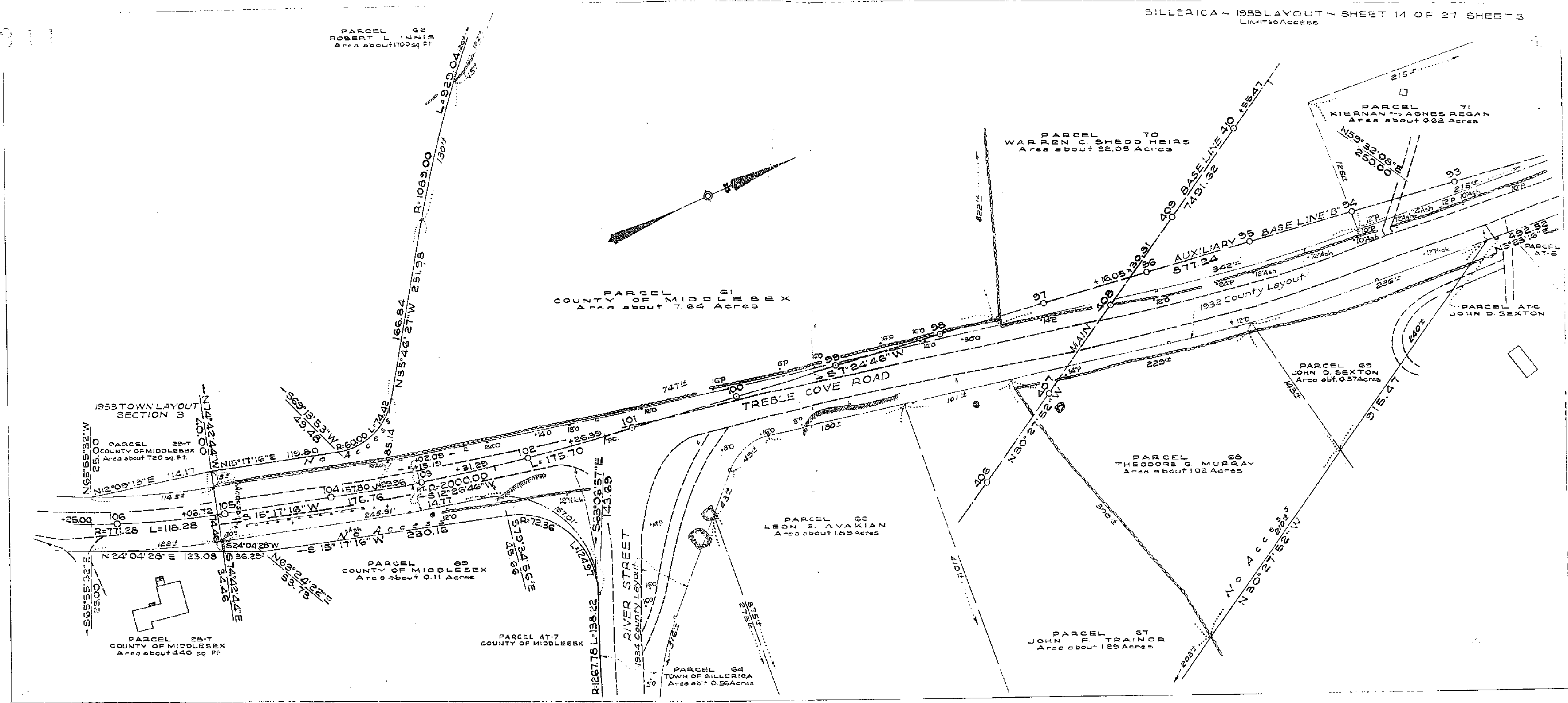
Plan for Route 3, 1953 (Plan Book 0 Page 344)
Previous
Next