Billerica Wiki
Structures
Plans
Map
Sources
Go
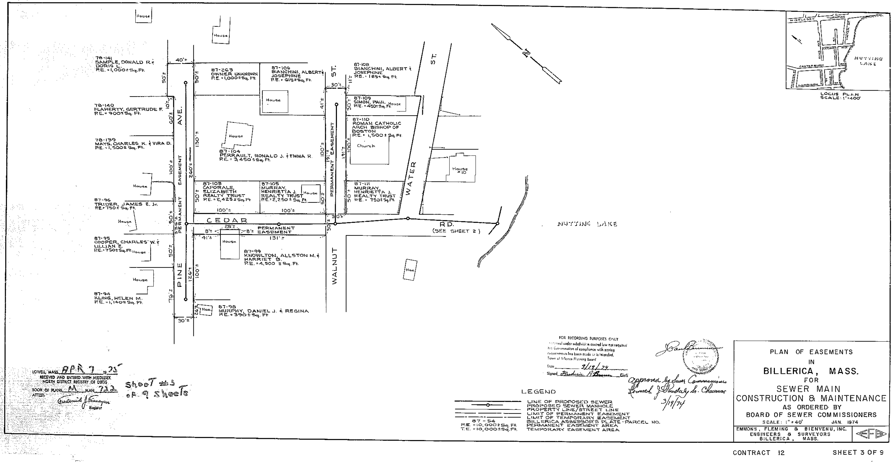
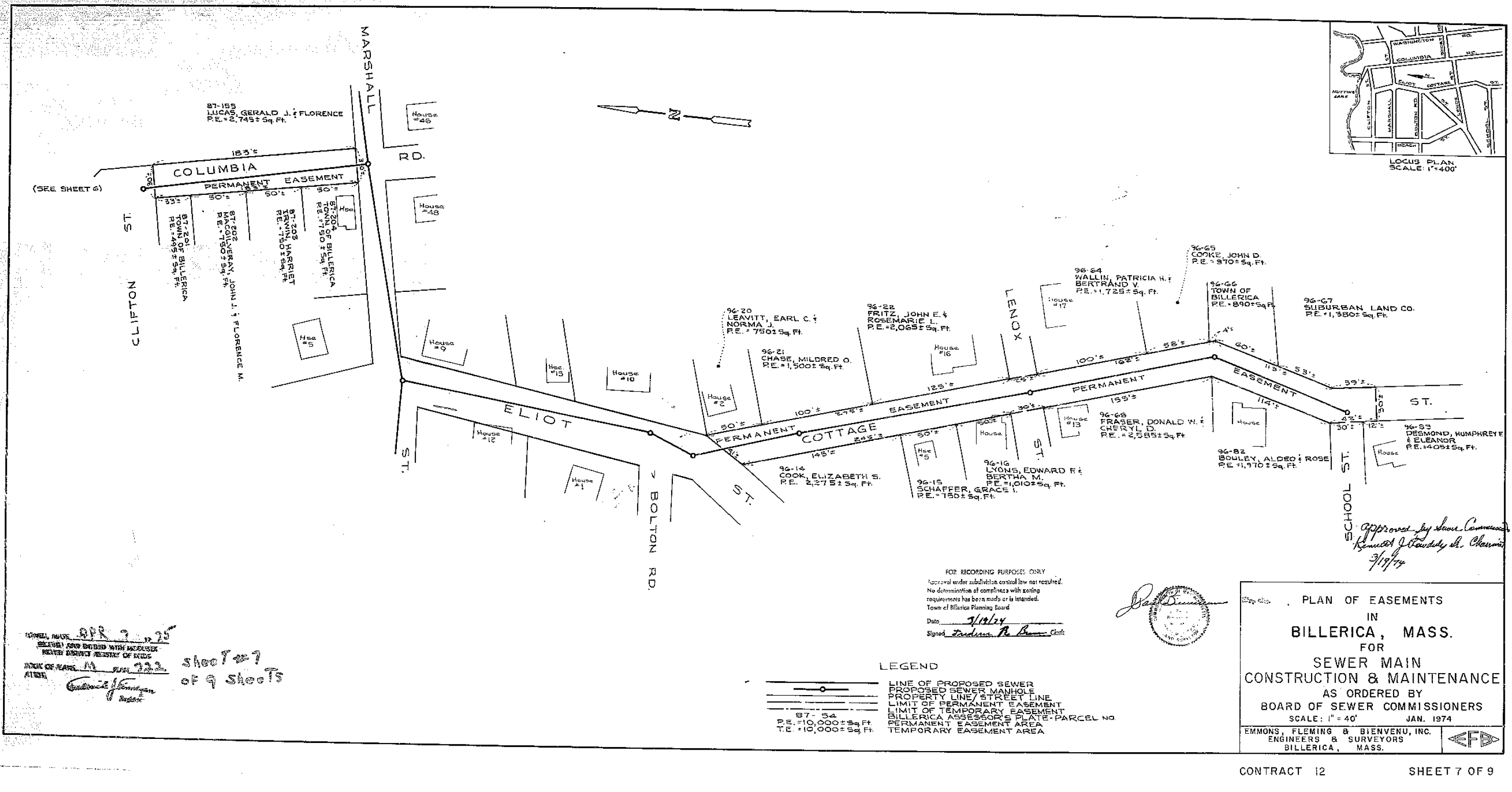
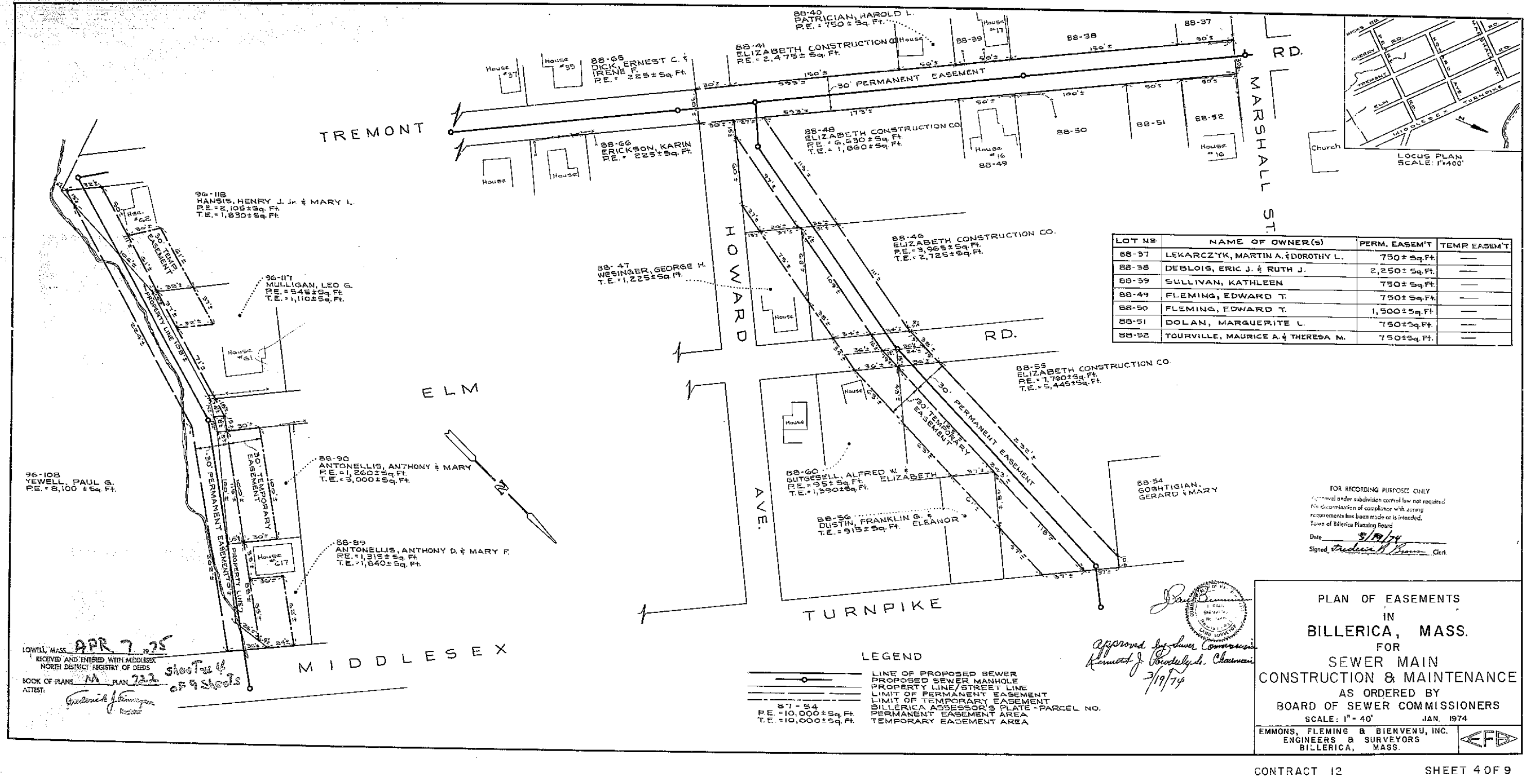
Sewer Construction, Nuttings Lake, 1975 (Plan Book 0 Page 722)
Previous
Next