Billerica Wiki
Structures
Plans
Map
Sources
Go
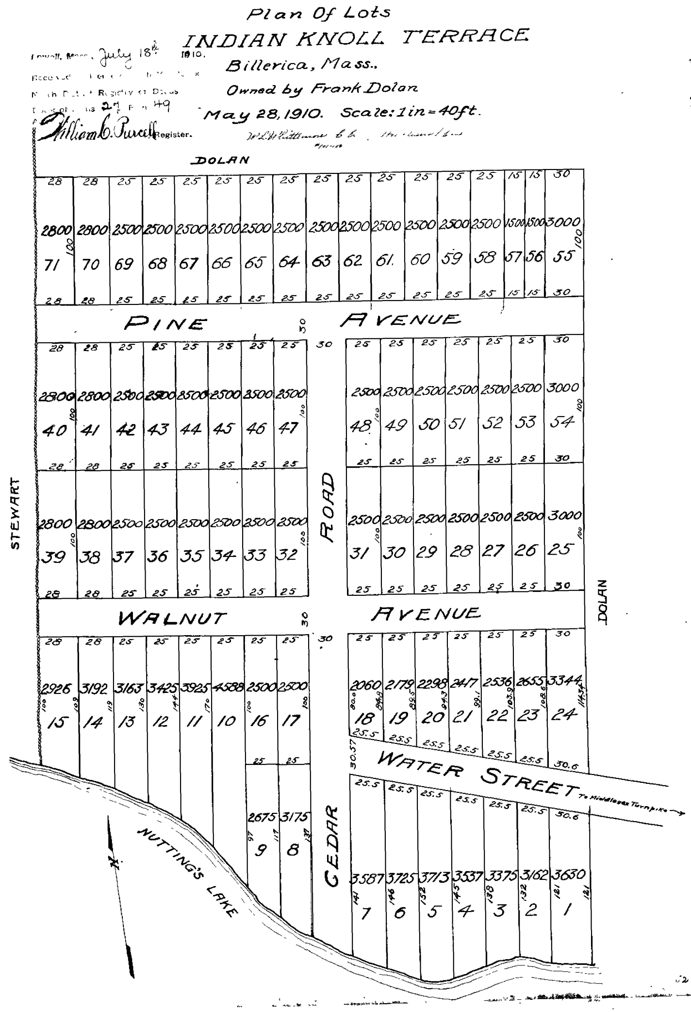
Indian Knoll Terrace, 1910 (Plan Book 27 Page 49)
Previous
Next