Billerica Wiki
Structures
Plans
Map
Sources
Go
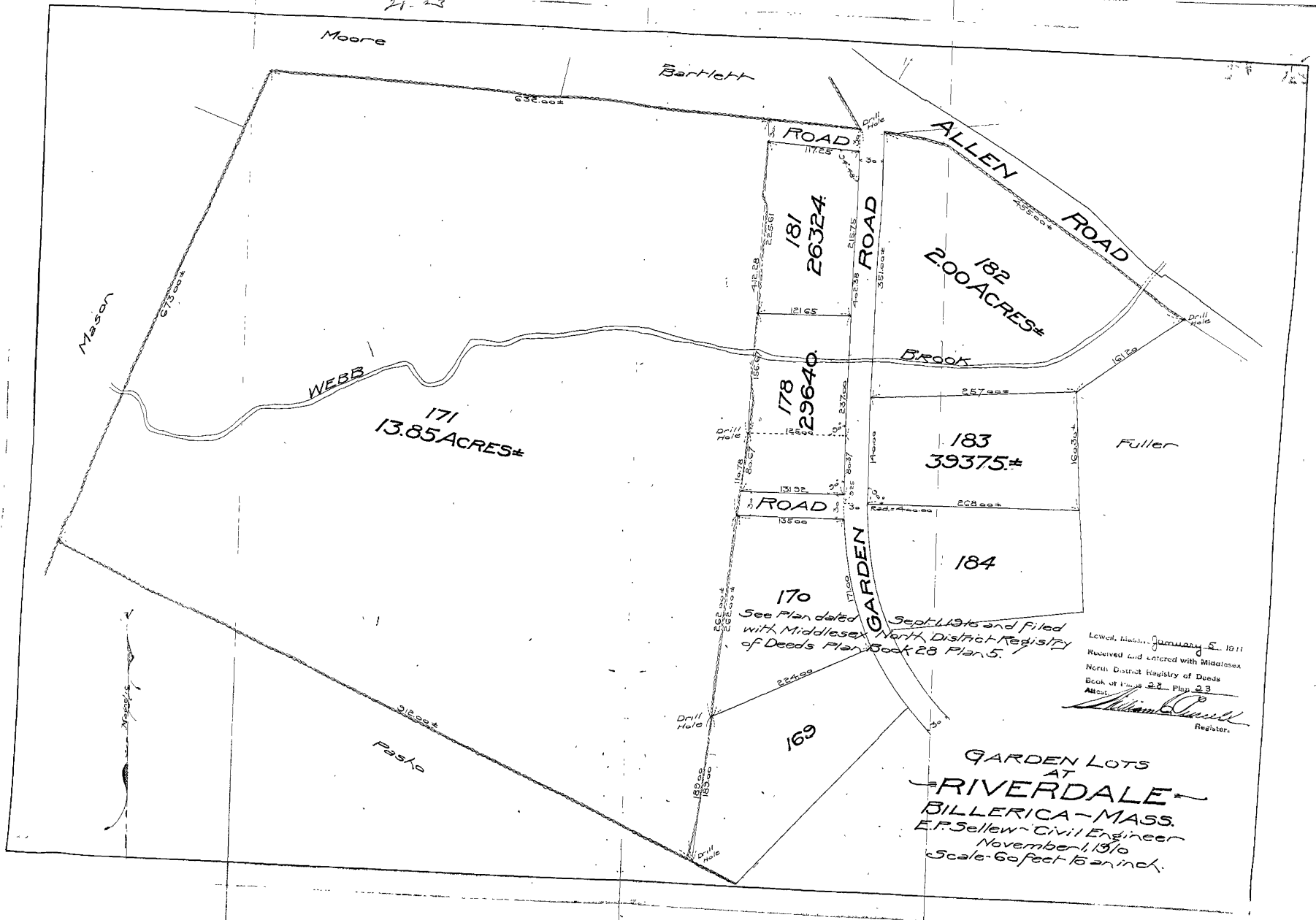
Riverdale, 1910 (Plan Book 28 Page 23)
Previous
Next