Billerica Wiki
Structures
Plans
Map
Sources
Go
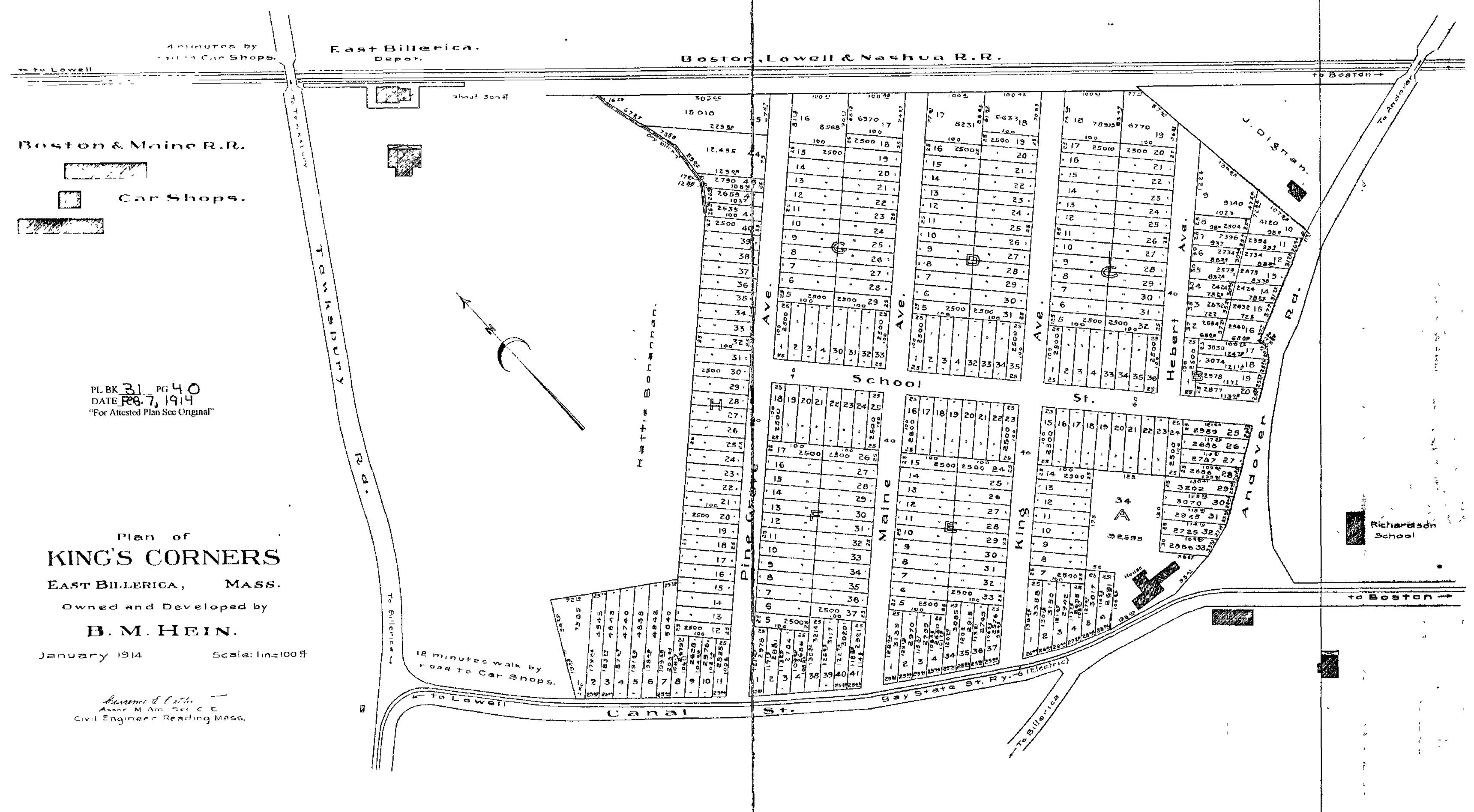
King's Corner, 1914 (Plan Book 31 Page 40)
Previous
Next