Billerica Wiki
Structures
Plans
Map
Sources
Go
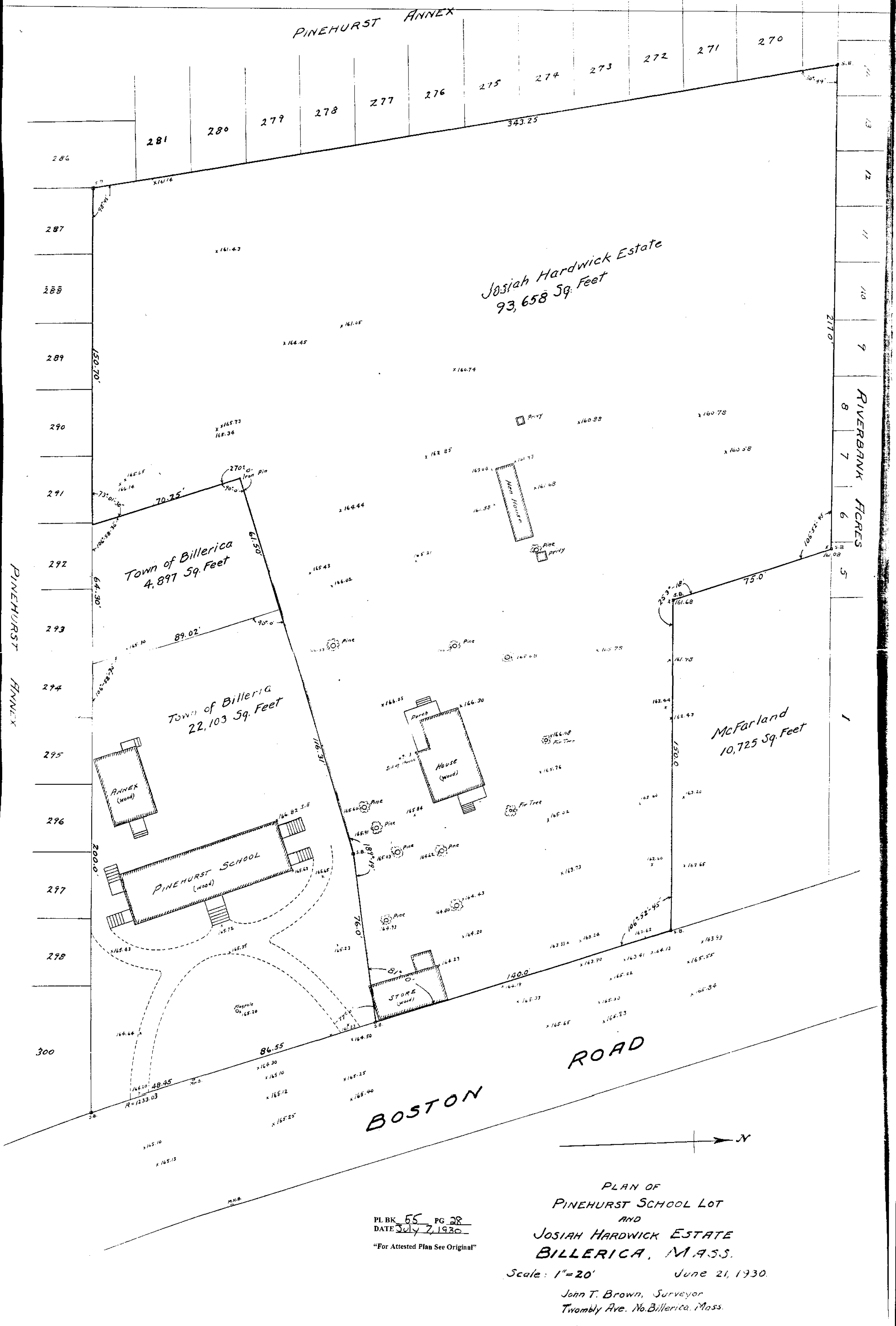
Pinehurst School, 1930 (Plan Book 55 Page 28)
Previous
Next