Billerica Wiki
Structures
Plans
Map
Sources
Go
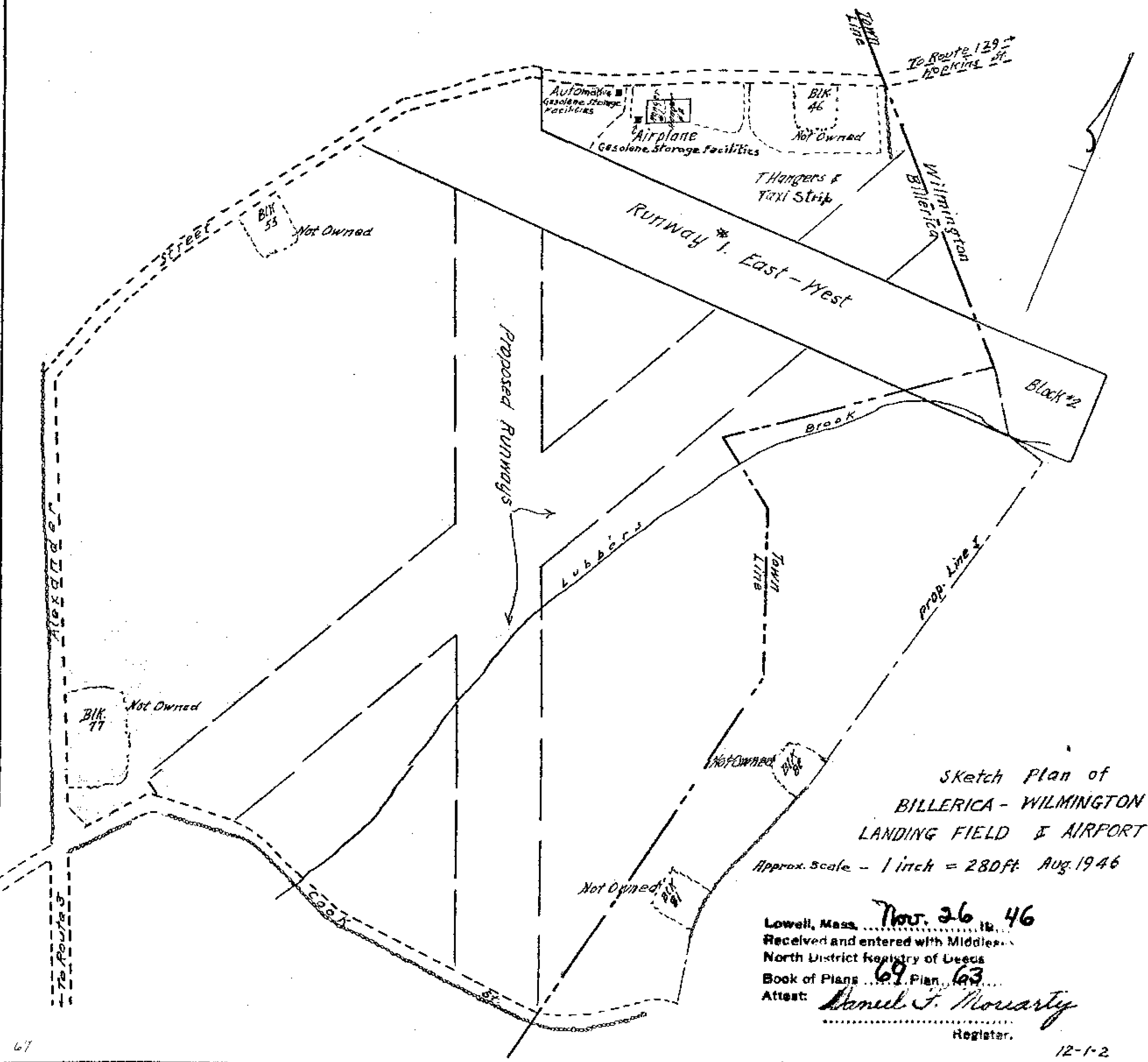
Billerica - Wilmington Airport, 1946 (Plan Book 69 Page 63)
Previous
Next