Billerica Wiki
Structures
Plans
Map
Sources
Go
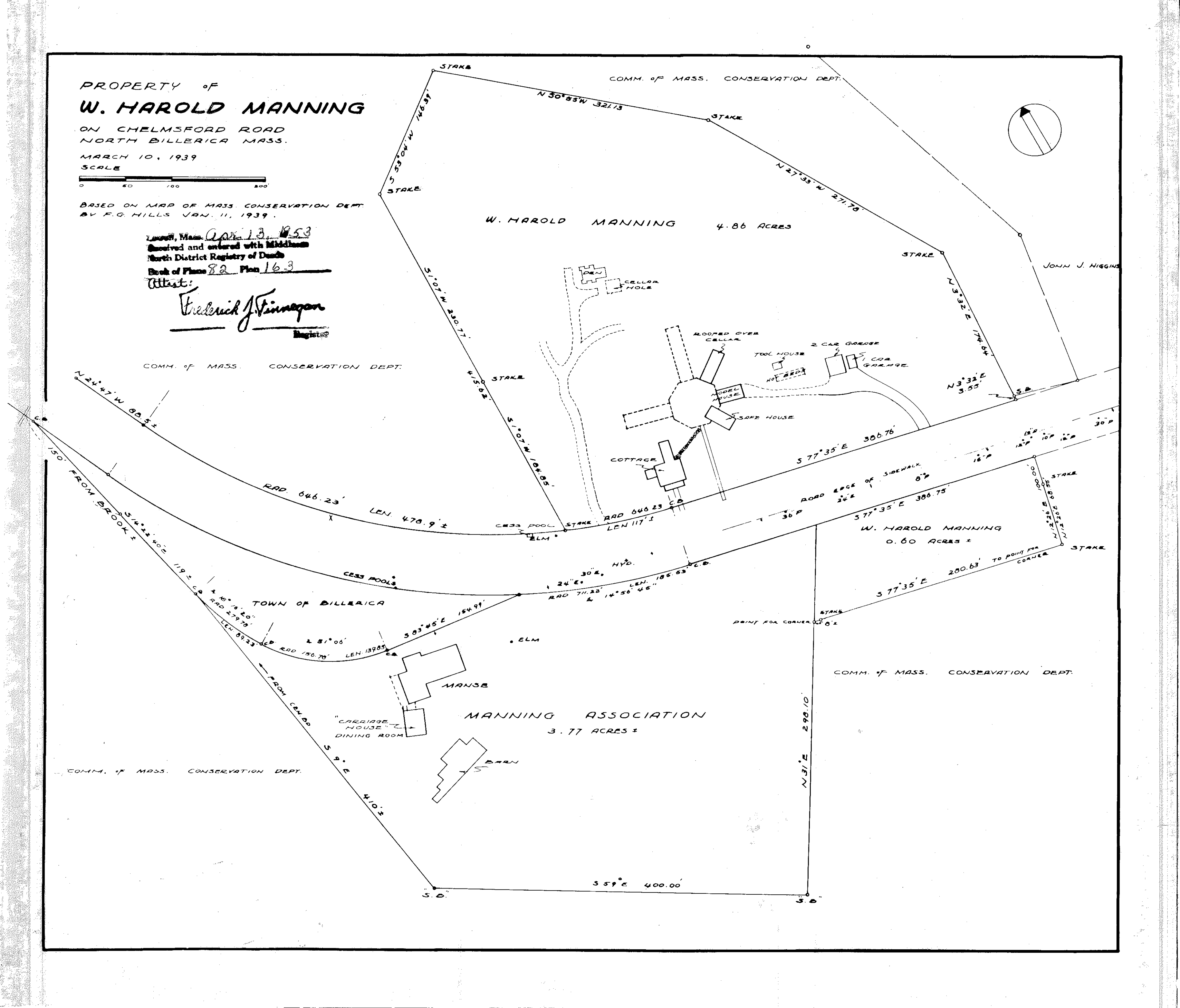
Manning Property, 1939 (Plan Book 82 Page 163)
Previous
Next