Billerica Wiki
Structures
Plans
Town Positions
Businesses
Map
Sources
Go
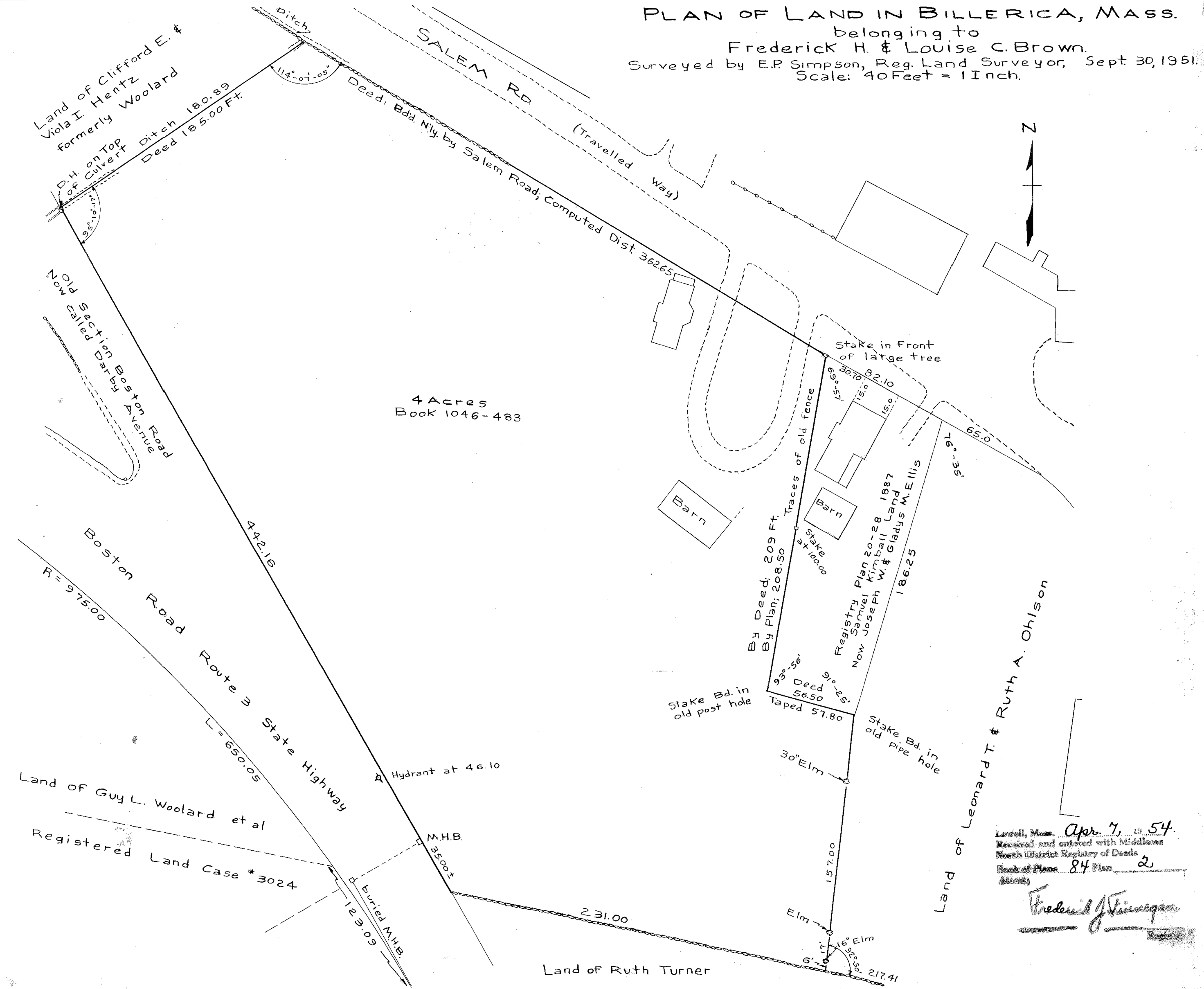
Plan of Land Belonging to Frederick and Louse Brown, 1951 (Plan Book 84 Page 2)
Previous
Next