Billerica Wiki
Structures
Plans
Map
Sources
Go
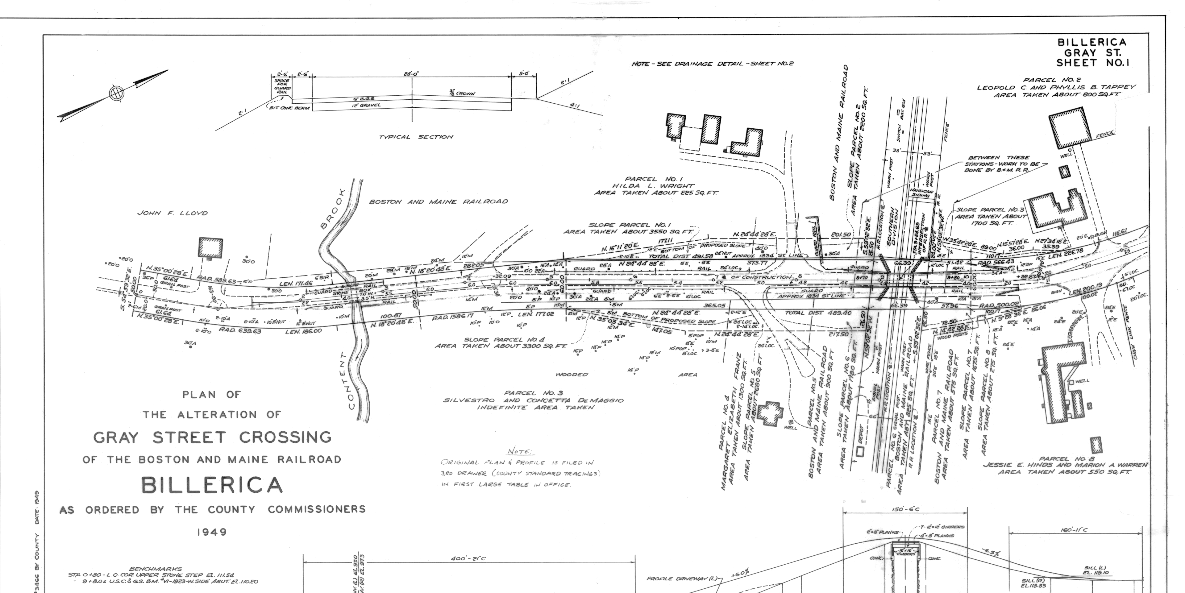
Gray Street, 1949 (Plan Book 910 Page 19)
Previous
Next