Billerica Wiki
Structures
Plans
Map
Sources
Go
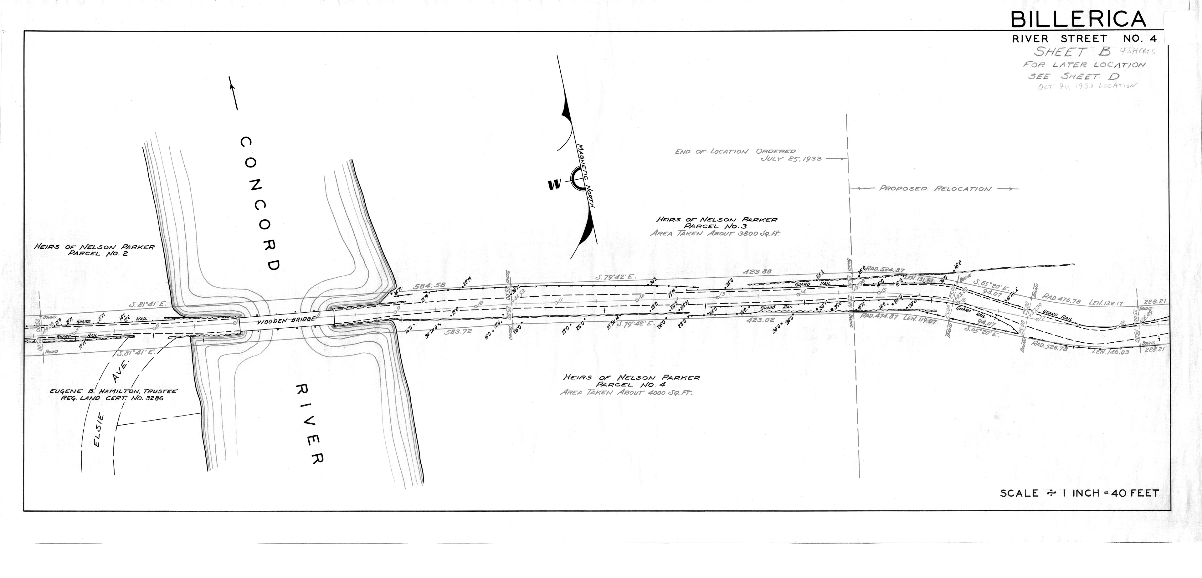
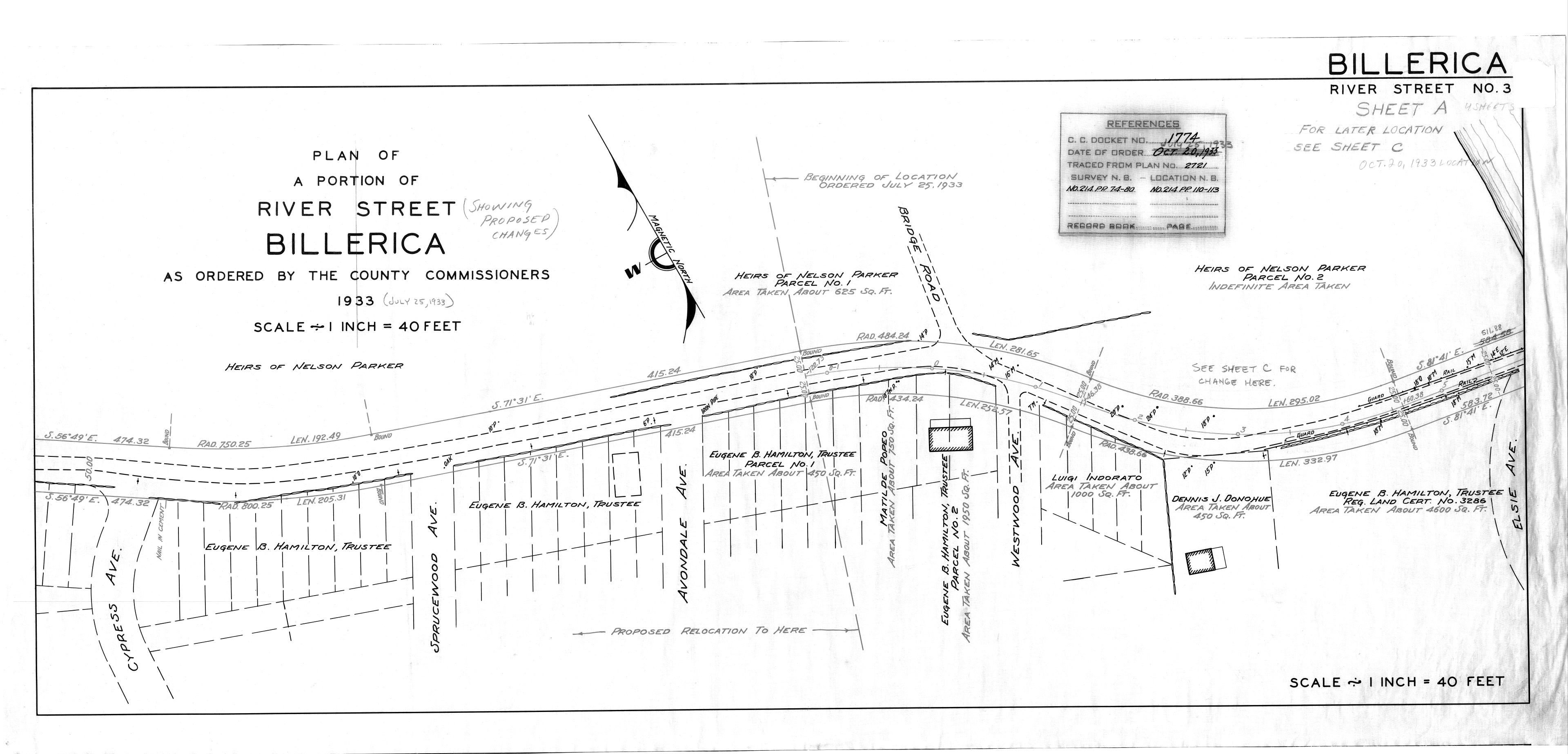
River Street, 1933 (Plan Book 910 Page 27)
Previous
Next