Billerica Wiki
Structures
Plans
Map
Sources
Go
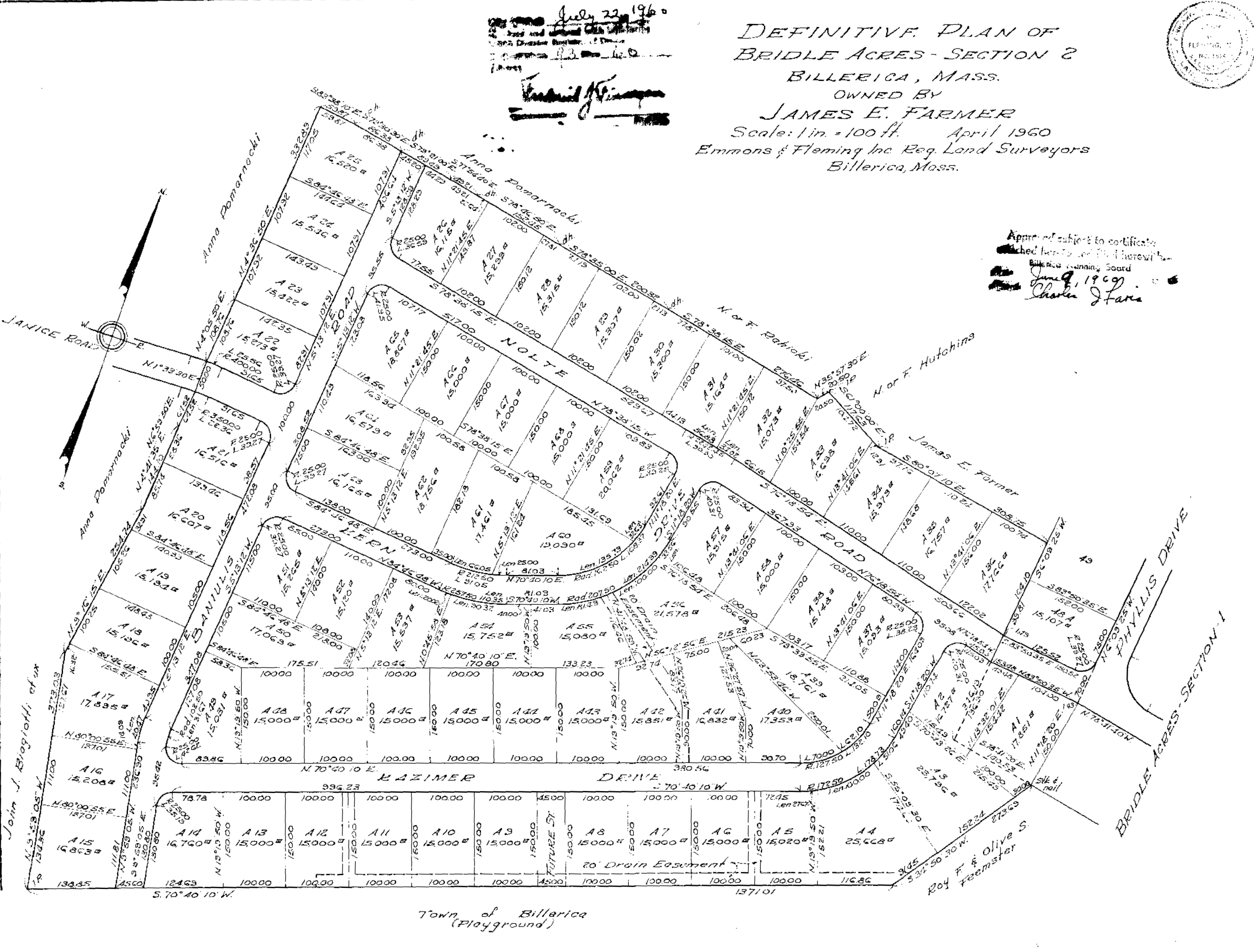
Bridle Acres, 1960 (Plan Book 93 Page 60)
Previous
Next