Billerica Wiki
Structures
Plans
Map
Sources
Go
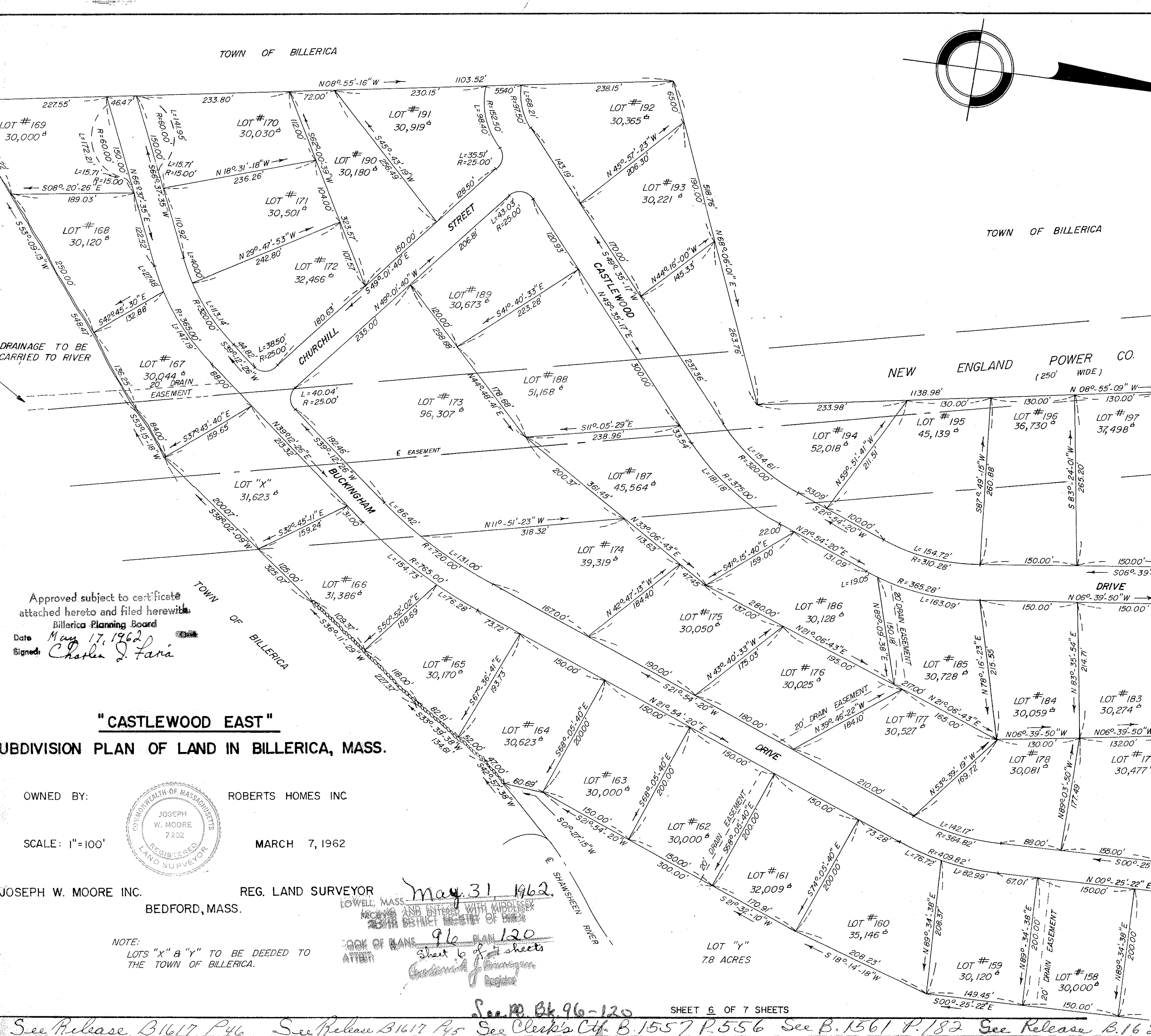
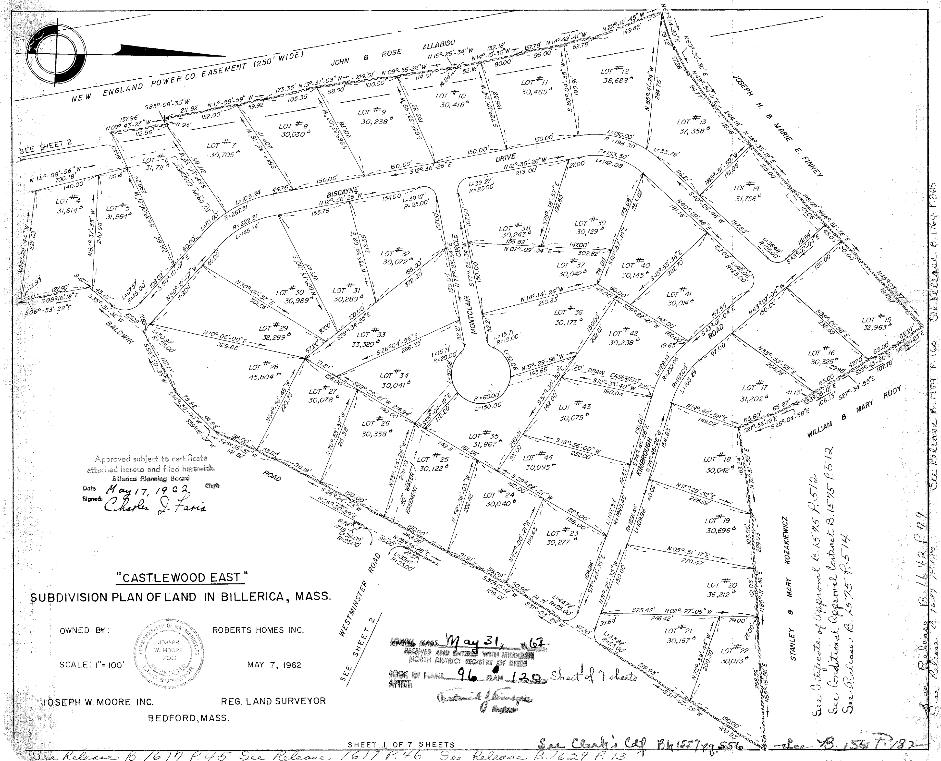
Castlewood East, 1962 (Plan Book 96 Page 120)
Previous
Next